猫の巨大結腸症
2013年1月
【猫の巨大結腸症】 手術法:サブトータル結腸切除術
症例:チンチラ 12歳 去勢雄 9kg
2年前から便がカチコチで便秘になり近くの病院で1週間に1回便をかき出してもらっていましたが、最近便秘がさらにひどくなり、便をかきだしても次の日すぐにまた便つまりしてしまうとのことで、セカンドオピニオンで当病院を来院されました。
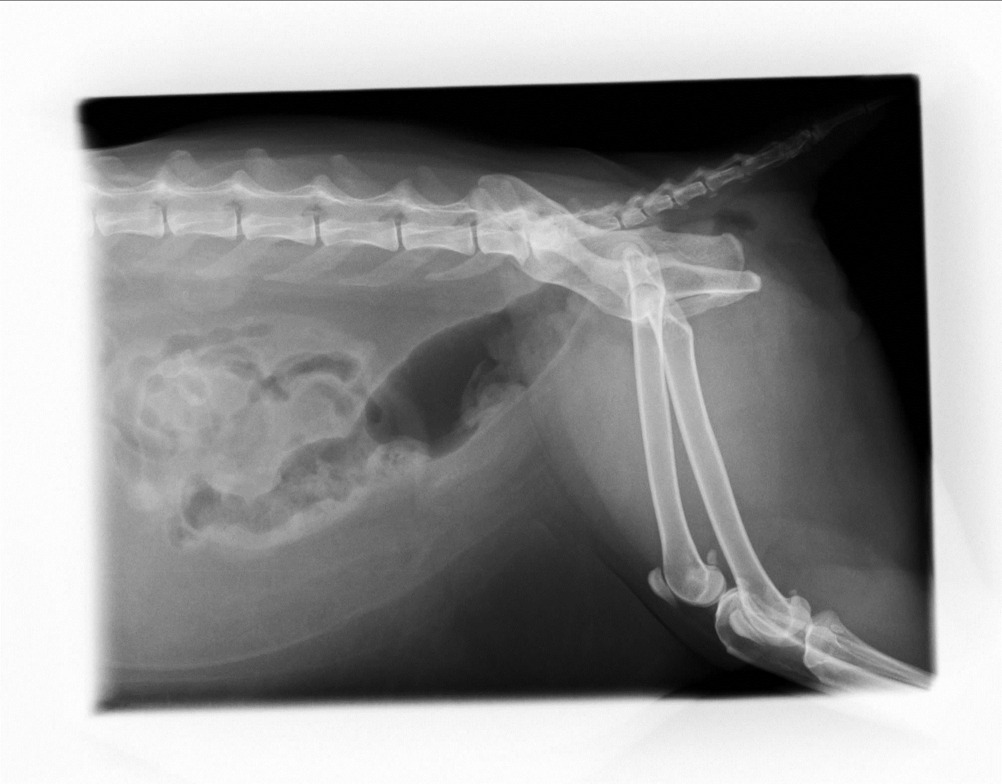
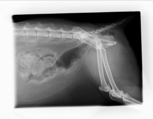
来院時のレントゲン写真 大腸いっぱいに便がつまってます!
内科治療は限界と考え、外科手術にて結腸の約2/3を切除しました!
切除した巨大結腸&カチカチの便 切除後の大腸を吻合、短くなりました。
術後は便がスムーズにでるようになり、飼い主さんもとても満足とのことでした。よかったですね(^0^)!






