犬の肺腫瘍
犬の肺腫瘍 手術法:右後葉肺葉切除術
症例:10歳 チワワ 避妊雌
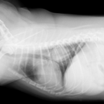
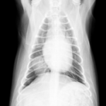
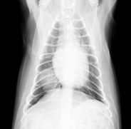
主訴:最近咳をたびたびしており、他の病院にてレントゲン検査をしたところ肺の右後葉に腫瘍が認められたため、手術のため当病院を紹介されて来院されました。
当病院のレントゲン検査でも肺腫瘍が認められたため、咳の症状も腫瘍によるものと診断、飼い主様の希望により肺腫瘍摘出手術を行いました。
術後は良好に経過し、手術後6日目に退院されました。病理検査にて肺乳頭状腺癌との診断でした。現在は他の肺に転移しないように抗がん治療を受けていますが、元気いっぱいで過ごしています。いつまでも元気で長生きしてほしいですね(^0^)





